欢迎访问巨鹿人民政府网站
设为主页
|
收藏本站
|
网站导航
首页
动态要闻
信息公开
政民互动
政务服务
魅力巨鹿
专题专栏
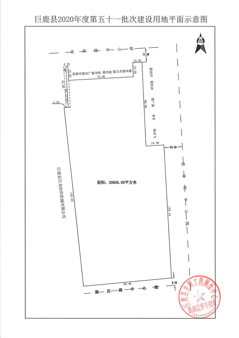
关于回收巨鹿县2020年第51批次建设用地范围内不动产登记证书的公告
发布时间:2021-04-07 发布机构:巨鹿县自然资源和规划局 浏览次数:84
字体:[
大
中
小
]
体裁分类:公告公示 主题分类:国土资源、能源 索引号:jlxly/1618557015022